Refresh
2025-11-13T10:44:57.234Z
China’s stranded astronauts could be home by Friday
Good morning science fans. We’re back again with news that China could be close to returning its astronauts, stranded in the Tiangong space station after a space debris incident last week.
I wrote a story on preparations for their return last night. Now, an aerospace closure issued around Inner Mongolia’s Dongfeng site for the early hours of the morning EST on Friday (Nov. 14) could hint at an imminent return.
More news on this as we get it. In the meantime, check out this story on the growing problem of overcrowding in Earth’s orbit and this on the first-of-a-kind instance of space cooperation between China and the U.S. to avoid a potential satellite collision.
The Shenzhou-20 crew — Wang Jie (left), Chen Zhongrui (center), and Chen Dong (right). (Image credit: PEDRO PARDO/AFP via Getty Images)
Ben Turner
Acting Trending News Editor
2025-11-13T00:07:16.799Z
So long, farewell
2025-11-13T00:00:31.110Z
Famous star cluster is upgraded
The Pleiades, a star cluster in the constellation Taurus, may be bigger than once thought. (Image credit: Giulio Ercolani / Alamy)
The Pleiades, also known as the Seven Sisters, seems to have way more siblings than we thought.
Astronomers used data on star spin velocity from the Gaia and TESS space telescopes to determine the famous star cluster is actually 20 times bigger than we thought, containing thousands of fainter stars lurking among the brightest seven. The new method could reveal hidden stellar families and complex structures linking stars that were once thought to be independent, researchers say.
Similar data could also be used to reveal whether our own sun is part of an extended stellar family, Space.com reported.

An illustration of the XMM-Newton satellite studying a monster stellar explosion (Image credit: D. Ducros; ESA/XMM-Newton, CC BY-SA 3.0 IGO)
There’s some bad news for the prospect of life outside our solar system: scientists say they’ve spotted a dwarf star about 40 light-years from Earth belching out an ultrapowerful coronal mass ejection (CME).
That monster blast of plasma was powerful enough to rip the atmosphere off any planets that happened to be orbiting the star. Stars like these, called M-dwarfs, are dimmer than the sun, which means their habitable zones are much closer. And yet, this class of star is also more volatile, meaning any planet that could harbor life would be regularly lashed by punishing solar flares. Whether life could evolve — and survive — on such a planet is uncertain.
Of course, there are many other solar systems that could harbor life, so the search for extraterrestrials isn’t over yet. But the new detection may mean the most common type of star in the Milky Way is less hospitable to life than we thought.
You can read more about the violent CME here.

2025-11-12T21:56:01.980Z
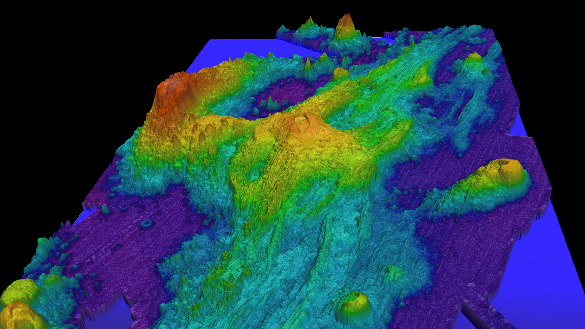
Volcano off Oregon won’t erupt this year, scientists say
A bathymetric image of the Axial volcano, which scientists initially predicted would erupt this year. (Image credit: NOAA)
This past year, news outlets, including Live Science, widely reported that the Axial Seamount off Oregon’s coast would likely erupt this year. Now, geologists have said an eruption is unlikely at least until 2026.
The seamount has already erupted three times: in 1998, 2011 and 2015, staff writer Sascha Pare reports. The initial prediction that it would erupt in 2025 was based on its inflation rate, or how fast the chamber beneath the volcano was filling with magma. Geologists thought the volcano would erupt when that inflation rate reached the level seen in 2015. But that inflation rate has now slowed.
Predicting volcanic eruptions is tricky, but a new model that accounts for the underlying physics could make those predictions more reliable, Sascha reports.
You can read the full story here.

2025-11-12T19:55:57.080Z
Ancient people in Japan had almost no Denisovan DNA
The 146,000-year-old cranium of an individual with Denisovan mitochondrial DNA discovered in northeastern China. (Image credit: Fu et al, Cell (2025) CC-by-4.0)
One of the biggest unanswered questions in anthropology is how the Denisovans, mysterious human relatives that lived in Asia and died out around 30,000 years ago, fit into our tangled family tree.
New research is providing tantalizing clues, staff writer Sophie Berdugo reports. Researchers looked at ancient skeletons from Asia that were between 45,000 and 766 years old and found that the prehistoric people of Japan, called the Jomon, had almost no Denisovan DNA.
Modern East Asians have on average about 0.1% Denisovan DNA, but there are wide variations between populations; Papua New Guineans, for example, have up to 5% Denisovan DNA.
So what do the new findings tell us about how Denisovans migrated and mated with Homo sapiens? One possibility is that Denisovans existed at such low numbers that many H. sapiens in Asia never encountered them. Or it’s possible this genetic data tells us something about the routes early human populations took across Asia.
You can read the full story here.

2025-11-12T18:39:47.293Z
UK bans animal testing
The U.K. just announced a plan to phase out animal safety testing over the next several years. (Image credit: Zero Creatives/Getty Images)
Hi everyone, Tia here with an update that the U.K. has announced it will move to phase out animal testing.
U.K. science minister Lord Patrick Vallance told the BBC that they’ve developed a plan to phase out animal testing for certain safety testing by the end of the year, and to reduce the use of dogs and primates by 35% by 2030. In 2020, about 2.88 million animals were used in testing in the country.
But is that safe, and would it be feasible in the U.S.? In fact, the U.S. already has regulations that set us on a similar path. In 2023, Live Science health editor Nicoletta Lanese reported that the U.S. Food and Drug Administration (FDA) had removed the requirement for animal testing for new drugs.
On paper, that would mean a drug could enter human clinical trials without being tested in animals, but in practice, not much is likely to change soon. That’s because replacements such as computer models of organ systems, and “organs-on-a-chip” are still very new. Before lab rats can be phased out, companies will need to be convinced those alternatives are as good as, or better than, animal testing — and crucially, they’ll need to know that the FDA views those tests as reliable, experts told Lanese.
You can read the full story here.

2025-11-12T17:45:24.884Z
Farewell, but not goodbye
The UK team are just about ready to slip into our pyjamas and nightcaps now, as we all do on this side of the pond. In the meantime, we’re leaving you in the capable hands of Live Science’s Managing Editor Tia for your updates. See you again tomorrow.
2025-11-12T17:44:41.430Z
Stranded Shenzhou-20 astronauts are preparing to come home… We just don’t know when yet
Wang Jie, Chen Zhongrui and Chen Don wave to the cameras before launching into space (Image credit: PEDRO PARDO/AFP via Getty Images)
We’ve recieved an update from the China Manned Space Agency on preparations to bring its stranded astronauts home. The only hitch is that there’s no word on when yet. Nonetheless, crew and engineers are carrying out tests and drills for an eventual return, so we’ll let you know as soon as we do.
You can read the full story here.

Ben Turner
Acting Trending News Editor
2025-11-12T17:35:13.207Z
Blue Origin rocket launch scrubbed
While solar activity has made it a good week for auroras, things aren’t looking so spectacular for Blue Origin, whose mission to launch a pair of Mars-bound NASA spacecraft aboard the New Glenn rocket has been scrubbed for the second time this week. The first time it was because of bad weather on Earth, this time it’s due to bad weather in space.
NG-2 Update: New Glenn is ready to launch. However, due to highly elevated solar activity and its potential effects on the ESCAPADE spacecraft, NASA is postponing launch until space weather conditions improve. We are currently assessing opportunities to establish our next launch…November 12, 2025
There is no indication yet as to when the next launch window will be, but we’ll be keeping an eye out for it. You can read our full report on the mission here.
2025-11-12T16:44:16.271Z
Doctors achieve the world’s first transatlantic stroke surgery
Professor Iris Grunwald demonstrating the new remote stroke surgery robot. (Image credit: University of Dundee.)
If you can’t get to a doctor where you are, perhaps there’s one all the way across the Atlantic who might soon be able to help. Well, at least some point in the future.
Medical researchers at the University of Dundee in Scotland have performed the world’s first transatlantic thrombectomy (the removal of a blood clot from a blocked blood vessel) by using a joystick connected to a cutting-edge robot located roughly 4,000 miles (6,440 kilometers) away in the Baptist Medical Center in Jacksonville, Florida.
The surgery was performed on a human cadaver, not a live patient, but could open up a path for doctors to save more people who have had ischemic strokes (strokes that block blood supply to the brain) — especially when time is vitally of the essence when it comes to the treatment.
Yann LeCun at the VivaTech conference in Paris, France, on May 22, 2024. (Image credit: Benjamin Girette/Bloomberg via Getty Images)
Meta’s chief AI scientist, Yann LeCun, is leaving the company to found his own startup in the coming months, the Financial Times has reported. Described as one of the three “Godfathers of AI”, LeCun received the 2018 Turing Award for his work on deep learning — the field of artificial intelligence that has proved critical to the development of today’s Large Language Models.
LeCun’s departure comes as Meta shifts away from fundamental research into AI and toward building products based on existing technology, Bloomberg reports. His next venture will likely focus on building AIs that use “world models” to take spatial data from the real world and better navigate it.
2025-11-12T15:58:38.117Z
Africa’s first drug regulation agency launches
A nurse assistant prepares a malaria vaccine at Uganda’s Apac General Hospital on April 8, 2025. (Image credit: Hajarah Nalwadda via Getty Images)
Africa is finally getting its own major drug regulator. The African Medicines Agency (AMA), was launched on Monday (Nov. 10) and is headquartered in Kigali, Rwanda.
The agency’s launch is a vital step for Africa, which contains the greatest levels of genetic diversity on the planet yet is often underserved by globally-approved treatments that are less effective or even harmful for some people of African ancestry.
Regulators at the new agency will work at shaping the science conducted to improve the health of the rapidly growing and urbanizing continent.
Check out the full comment by Nature here.

Ben Turner
Acting Trending News Editor
2025-11-12T15:11:37.009Z
Aurora galore
As mentioned earlier, the skies over much of the U.S. (and even parts of Mexico) were dazzled by beautiful aurora last night. Did you get a chance to see them? Don’t worry if you were too busy snoozing to poke your head out the window (yep, we get it, it’s cold), our friends over at Space.com just published this jaw-dropping selection of images of last night’s display.
I’ve dropped a few below, but there are plenty more to be found in the article. And if this inspires you to brave the elements with your camera next time, you won’t have to wait long — the aurora should be in full flow tonight.
Northern lights above Wisconsin farmland. (Image credit: Ross Harried/NurPhoto via Getty Images)
Northern lights visible from Florida’s Space Coast!!! pic.twitter.com/H8myGLhKbONovember 12, 2025
Alexander McNamara
Social Links Navigation
2025-11-12T14:24:58.884Z
Live from the SVP
A saber-toothed skull model. (Image credit: Future)
Patrick here, reporting live from the Society of Vertebrate Paleontology 85th Annual Meeting (SVP 2025) in sunny old Birmingham, England (it’s raining).
Scientists from around the world have gathered for the conference, which covers all things paleontology. I’ve been listening to dinosaur talks for most of the morning, during which researchers have presented new and recently published findings, including one on the oldest-known dome-headed dinosaur.
But it’s not all about dinosaurs. Here’s a picture of a saber-toothed skull model from upcoming research (currently super secret).

Patrick Pester
Trending News Writer
2025-11-12T13:32:05.383Z
Live Science roundup
Here’s a roundup of all the stories Live Science has published so far (that we haven’t already mentioned).
2025-11-12T12:52:21.543Z
JWST finds the first stars
A composite view of the galaxy cluster MACS J0416 taken with the James Webb and Hubble space telescopes. (Image credit: NASA, ESA, CSA, STScI, Jose Diego (IFCA), Jordan D’Silva (UWA), Anton Koekemoer (STScI), Jake Summers (ASU), Rogier Windhorst (ASU), Haojing Yan (University of Missouri))
Astronomers using the James Webb Space Telescope (JWST) may have finally captured faint glimmers of light from the universe’s very first stars. Known as Population III, or dark stars, they are believed to have coalesced from the first clottings of hydrogen, helium and dark matter, just a few hundred million years after the Big Bang.
Astronomers still debate over what the signals from these stars should look like, meaning this detection likely won’t be certain for some time. But if scientists keep spotting good candidates like this, they could learn some crucial insights into how the first galaxies in our universe took shape.
You can read the full story here.
2025-11-12T12:21:50.146Z
Bumblebees learn to code
A bumblebee balances on a flower. (Image credit: Ademoeller/Shutterstock)
The internet has spent years taunting us journalists to learn to code. Now, in a shocking betrayal, scientists and bees have beat us to it.
In a first-of-its-kind study, scientists have trained bumblebees to read rudimentary Morse code signals to find sugary rewards. It demonstrates an impressive neurological capacity among insects for sensing timing, and could mean that evolution has hard-wired their tiny brains for decoding simple codes — there’s hope for journalists yet.
2025-11-12T12:08:13.003Z
Comet 3I/ATLAS is blasting out radio signals. Here’s why that’s proof it’s not aliens.
South Africa’s MeerKAT telescope, which is made up of an array of 64 radio dishes. (Image credit: SARAO/MeerKAT)
I signed off yesterday promising an update on the comet 3I/ATLAS, so here it is.
Astronomers at South Africa’s MeerKAT radio telescope have detected the first radio waves emanating from the interstellar visitor. Read that sentence alone and click away from this blog, and you might think it’s further evidence that the comet is a trojan horse stuffed to the brim with little green men.
But alas, the signal is actually further evidence that the comet is perfectly natural in its origins.
Why? Check out Senior Staff Writer Harry’s full story for the lowdown.
2025-11-12T12:06:42.426Z
Auroring good time
The aurora borealis is set to blanket a large chunk of the United States tonight. (Image credit: Arterra via Getty Images)
Good morning, science fans. For those of you chasing auroras all night, we hope you got some rest. We blogged about the solar eruptions barrelling into Earth’s magnetosphere here yesterday, but it turns out they were triggered by the most powerful solar flare of the year.
As three solar outbursts (or coronal mass ejections if you want to make them sound fancy) continue to spark geomagnetic storms, we’re set to see the northern lights as far south as northern California and Alabama tonight.
If you take any pictures of the lights and would like to share them with us, give us an email here. In the meantime, check out the full story here.

Ben Turner
Acting Trending News Editor
2025-11-11T18:31:36.573Z
Over and out
2025-11-11T18:07:11.167Z
The reports of 3I/ATLAS’s death are greatly exaggerated
Interstellar Comet 3I/ATLAS as imaged from Manciano, Italy on Nov. 11. (Image credit: Gianluca Masi, Virtual Telescope Project)
Has 3I/ATLAS exploded after a fatal near-encounter with our sun? Not at all, Patrick learned today. But that won’t stop some claiming otherwise. With the comet’s closest point to Earth coming on Dec 19. we’re readying ourselves for a long end to the year.
Read the full story here.
2025-11-11T16:21:28.508Z
Manifold Destiny
An artist’s illustration of a torus. (Image credit: Marilyn Perkins; Contains assets from Doni Purba and Pazhyna via Getty Images)
On this day 22 years ago, a Russian mathematician uploaded a scientific paper to a public server that quickly sent the world loopy.
His name was Gigori Perlman, and the paper he submitted was the first of three that solved the Poincaré conjecture — a famously-intractable hypothesis made by Henri Poincaré nearly a century before.
Perlman’s contribution proved essential for topology, the mathematical study of shapes, and earned him the prestigious Fields Medal and the Clay Millenium math prize.
Yet he turned both down, and seemingly left the field permanently due to his disillusionment with the vanity of his fellow mathematicians. When a reporter attempted to contact him in 2010 he responded: “You are disturbing me. I am picking mushrooms.”
You can read the full story here.
2025-11-11T15:31:55.197Z
Cause for COP-timism
Emissions from a city power plant during sunrise. (Image credit: ldphotoro | Shutterstock)
Climate deliberations continue at this year’s COP 30 conference in Belem, Brazil, in spite of some notable absences that include President Donald Trump. Here’s a breakdown from Carbon Brief on what each country’s negotiators are angling for at the conference.
If all the legal wranglings over the fate of our planet feel a little dispiriting, here’s a shot of good news: China, the world’s biggest polluter, has seen its CO2 emissions flat or falling over the past 18 months, meaning it could hit its emissions peak far ahead of schedule.
2025-11-11T15:26:30.428Z
Leonid meteor shower set to peak
The Leonid meteor shower falls over European ruins. (Image credit: Getty)
Save all your wishes for next week, when the Leonid meteor shower peaks.
The annual flurry of shooting stars will appear in the early hours of Monday (Nov. 17), and is produced by tiny particles from the Comet 55P/Tempel-Tuttle that burn up in Earth’s atmosphere to make meteors.
This year could offer one of the best viewing windows for the fast-moving shower, owing to a nearly moonless night.
You can read the full story here.

Ben Turner
Acting Trending News Editor
2025-11-11T15:00:53.688Z
Live Science roundup
—For the first time, physicists peer inside the nucleus of a molecule using electrons as a probe
—This week’s Leonid meteor shower could be one of the best in years. Here’s why.
—Prehistoric Jomon people in Japan had ‘little to no’ DNA from the mysterious Denisovans, study finds

Patrick Pester
Trending News Writer
2025-11-11T13:31:49.196Z
Cannibal solar storm on its way
An image of a coronal mass ejection erupting from the sun. (Image credit: NASA Goddard)
What’s more exciting than one coronal mass ejection? One eating the other, of course.
Coronal mass ejections (CMEs) are large, fast-moving clouds of magnetized plasma that occasionally get spat out into space by the sun alongside solar flares — powerful explosions on our star’s surface triggered when solar magnetic loops snap in half like an overstretched elastic band.
A cannibal CME is created when one CME is followed, and swallowed, by a second faster one to create a single, massive wave of plasma.
That’s what could happen this Wednesday (Nov. 12) according to Spaceweather.com, as two CMEs are on their way to Earth right now. They will likely bring a strong geomagnetic storm and auroras above our skies.
2025-11-11T12:01:09.689Z
Running AMOC
A visualization from space of the Gulf Stream as it unfurls across the North Atlantic Ocean. (Image credit: NASA/Goddard Space Flight Center Scientific Visualization Studio)
It’s a simple rule that as you get further away from the equator, your climate gets colder.
Yet not everywhere follows this trend. Take Western Europe for example: New York City and Madrid lie along roughly the same latitude, yet Madrid’s average January temperatures are ten degrees Fahrenheit (5.6 Celsius) hotter than those of the Big Apple.
So what gives? The answer lies in a web of warm ocean currents called the Atlantic Meridional Overturning Circulation (AMOC) that sustains Europe’s high temperatures, yet is showing troubling signs of weakening and even collapse sometime this century.
You can read the full story here.
2025-11-11T11:39:03.248Z
New Comet approaches
An orbital diagram showing the new comet C/2025 V1 (Borisov) at its closest point to Earth on Tuesday (Nov. 11) (Image credit: NASA/JPL)
Good morning, science fans! We’re back again with fresh comet news, this time relating to a new space snowball. Before you ask, it’s not Comet 3I/ATLAS (although we are working on an update on that too).
Called C/2025 V1 (Borisov), this new comet has a high eccentricity, a vanishing tail and is due its closest flyby of Earth today. Unlike 3I/ATLAS, C/2025 V1 does not come from interstellar space, but is believed to originate from the Oort cloud — the icy sphere of debris that surrounds our solar system.
You can read the full story here.

Ben Turner
Acting Trending News Editor
2025-11-10T19:20:14.271Z
That’s all, folks!

Ben Turner
Acting Trending News Editor
2025-11-10T19:16:43.434Z
Canada loses its measles elimination status
A young child with measles. (Image credit: Shutterstock)
Hi everyone, it’s Nicoletta, Live Science’s Health Editor, here with an update that Canada has just lost its measles elimination status. Measles has been spreading consistently in Canada for over a year, resulting in the announcement made today by health officials.
Measles can be deadly: it kills between 1 and 3 out of every 1,000 children infected. But even those who survive the infection can suffer long-term consequences, from “immune amnesia” to permanent brain damage to a rare progressive condition that puts them into a coma from which they never awake.
The good thing is that we have extremely effective vaccines for measles that prevent both the infection itself and its dangerous knock-on effects. The bad thing is that rates of routine measles vaccinations are trending down, and as a predictable consequence, cases of measles are going up.
Canada’s announcement is a reflection of this global trend, which is being driven both by rising anti-vaccine sentiment and by disruptions to routine childhood vaccination triggered by the COVID-19 pandemic, among other factors. The United States has also seen persistent declines in routine vaccination in recent years, and in turn, large outbreaks of measles, raising questions about the stability of its own measles elimination status.
At the end of the day, the takeaway is that measles is a highly preventable illness that causes a great deal of suffering when it’s allowed to take hold. The measles vaccine represents a triumph of medical science that helped drive down the staggering rate of child death that existed prior to its introduction. Declines in measles vaccination signal a return to a time when a lot more kids died in early childhood than do today — and that, in a word, is concerning.
Read the full story here.

Nicoletta Lanese
Health Editor
2025-11-10T18:41:58.721Z
New ‘almost interstellar’ comet approaches Earth
An orbital diagram showing the new comet C/2025 V1 (Borisov) at its closest point to Earth on Tuesday (Nov. 11) (Image credit: NASA/JPL)
Hello! Senior Staff Writer Harry Baker here. I’ve been covering the infamous alien comet 3I/ATLAS a lot since it was first discovered in early July, so I was surprised to hear of a new “almost interstellar object” that is due to make its closest approach to Earth tomorrow (Nov. 11), especially when some people were speculating that it could be an alien probe.
For the record, this newly discovered comet, dubbed C/2025 V1 (Borisov), is definitely NOT an interstellar object (ISO). But it does share a few similarities with 3I/ATLAS, including a high eccentricity and a vanishing tail. As for it being an alien spacecraft, even renowned alien-hunter Avi Loeb — who has been promoting this theory for months — says that it is unlikely.
And in a completely unrelated coincidence, the new comet was discovered by Gennadiy Borisov, who also discovered the second-ever ISO and 3I/ATLAS’s predecessor “Comet Borisov” in 2019.
Check out the full story here.

Harry Baker
Senior Staff Writer
2025-11-10T17:35:06.901Z
Cosmically, we may have already peaked
A far-infrared image from the Herschel Space Observatory overlaid with optical data from Euclid. (Image credit: Ryley Hill, University of British Columbia, European Space Agency)
It’s good to be in something from the ground floor, but humanity may have come too late for that. Or that’s at least the latest from the Euclid and Herschel telescopes, which have found that star formation has already peaked in our cosmos.
By taking the most comprehensive temperature reading of our universe yet, the space telescopes revealed that galaxies have grown slightly cooler as their star formation rates eased off over the past 10 billion years.
That means that our universe is on course to becoming totally quenched. But before any of us spiral into existential crisis, it won’t be for an unimaginably long time. In the meantime, we can all get therapy, or maybe just feed the ducks.
You can read the full story here.
2025-11-10T16:44:49.390Z
Comet sense?
A blurry image of Comet 3I/ATLAS as it zooms through space. (Image credit: NASA, ESA, David Jewitt (UCLA); Image Processing: Joseph DePasquale (STScI))
Seems like pretty much everyone wants fresh updates on Comet 3I/ATLAS these days.
Our solar system’s third-ever recorded interstellar visitor is fascinating — at more than 7 billion years old it’s so irradiated that we may never be able to pin down exactly where it came from. But the question on everyone’s lips, and in our inboxes, is whether or not it’s an alien probe.
I’d really love to tell you otherwise, but the answer from most scientists is no, almost definitely not.
You don’t have to take that from me, though. Here’s an article by radio astronomer Laura Driessen on why extraterrestrial speculation is the least interesting question about this truly strange comet.
You can give the story a read here.

Ben Turner
Acting Trending News Editor
2025-11-10T16:12:20.385Z
COP30 kicks off
The Leaders’ Round Table to launch the Tropical Forest Forever Facility (TFFF) on November 6, 2025. (Image credit: Pablo Porciuncula/AFP via Getty Images)
The opening ceremony of COP30 has wrapped up in Belém, Brazil. You can watch it here. It wasn’t like an Olympic opening ceremony or anything like that — not one singing headless Marie Antoinette in sight. Still, there were a couple of impassioned speeches and traditional musical performances.
Most importantly, this year’s major climate conference is officially underway. Simon Stiell, the UN Climate Change Executive Secretary, highlighted the progress humanity had made since the signing of the Paris Agreement 10 years ago at COP21, during which world leaders promised to limit global warming to preferably below 1.5 degrees Celsius (2.7 degrees Fahrenheit) and well below 2 C (3.6 F). However, as the UN announced last week, we’re still expected to overshoot the 1.5 C target.
“We must move much, much, faster on both reductions of emissions and strengthening resilience,” Stiell said. “The science is clear: we can and must bring temperatures back down to 1.5C after any temporary overshoot. Lamenting is not a strategy. We need solutions.”
Stiell will be looking for countries to collaborate on those solutions this week, but as Ben noted this morning, many leaders are no-showing this year’s conference. Among the notable absentees are President Donald Trump, China’s Xi Jinping and India’s Narendra Modi — the heads of the three biggest emitting countries.
2025-11-10T15:21:56.557Z
In case you missed it
—Ram-shaped teapot from ancient Canaanite cult discovered near ancient city of Armageddon
A very interesting teapot.
—Antibiotic found hiding in plain sight could treat dangerous infections, early study find
Scientists have discovered a new antibiotic compound that shows promising activity against drug-resistant infections, so that’s good.
—NASA’s ultraquiet supersonic ‘flying swordfish’ makes history with first test flight
NASA has unveiled an experimental supersonic plane that looks like a swordfish. Swordfish are among the fastest animals in the ocean, but their commonly cited swimming speeds are very unreliable. NASA’s new plane reached a top speed of about 240 miles per hour (386 kilometers per hour).
A terrifying, but potentially very useful, walking chair.
—How to watch ‘Kingdom’ — TV and streaming details for David Attenborough’s new BBC series
New nature series narrated by the 99-year-old Sir David Attenborough.

Patrick Pester
Trending News Writer
2025-11-10T14:01:18.860Z
Mysterious Andean holes explained
An aerial photo of the “band of holes” in southern Peru. (Image credit: J.L. Bongers; Antiquity Publications Ltd; CC BY 4.0)
Some 5,200 holes sit in ordered grids along southern Peru’s Serpent Mountain, many of them dating back more than a thousand years. So what could explain them? Long-forgotten rituals? Fog capture technology? Human sacrifices? Aliens?
A new suggestion made by archaeologists posits that the real answer isn’t quite that exciting (although it’s still pretty cool): The holes were likely used as accountancy tools in barter markets for goods along trade routes.
You can read the full story here.
2025-11-10T13:58:30.102Z
Giza break
The Pyramid of Menkaure on the Giza plateau. (Image credit: Joanot via Getty Images)
Two voids found on the eastern side of Egypt’s Pyramid of Menkaure could point to a second entrance to the ancient tomb, tests that used electrical currents and ultrasonic waves have hinted.
You can check out the full story here.
2025-11-10T13:23:04.157Z
The weekend’s biggest news
We can’t always bring you breaking science news as it happens — sometimes our loved ones, days off and sleep schedules get in the way. Here’s some of the biggest science news that happened over the weekend:
A powerful 6.9 magnitude earthquake rattled the northern coast of Japan on Sunday (Nov. 9). Thankfully, there have been no immediate reports of injuries or damage, no abnormalities at the two nuclear power plants in the area, and a tsunami warning following the quake was downgraded.Health officials are investigating 13 cases of infant botulism across 10 states linked to a recalled baby formula.Blue Origin’s New Glenn rocket was scheduled for launch on Sunday (Nov. 9) but it has been delayed until Wednesday (Nov. 12) due to poor weather conditions. The launch will be the first big test for the rocket’s first NASA mission, and a statement of intent for the company’s founder Jeff Bezos against competitor SpaceX.
2025-11-10T13:13:45.553Z
Monkey business is closed
A rhesus macaque photographed in India. (Image credit: McDonald Wildlife Photography Inc. via Getty Images)
Two weeks ago, Patrick covered news of several lab monkeys that escaped from an overturned truck in Mississippi that were allegedly diseased and dangerous.
On Friday night, we finally got news that the last of these monkeys has been tracked down following a report from a resident whose dog alerted her to its presence. Five of the escaped rhesus macaques were sadly killed by police, yet authorities say that this monkey was “successfully recovered.”
2025-11-10T13:12:29.397Z
Good COP, bad COP
COP30 is getting under way, and it promises to be more contentious than ever. (Image credit: Shutterstock)
Good morning, science fans! Ben here, back for another round of updates on the latest science updates from around the world.
While we’re speaking of the pale blue dot that we call home, it’s in a spot of trouble due to human-caused climate change, as it speeds toward near-certain overshoot of climatic guard-rails set by 2015’s Paris Agreement. That’s why delegations from 194 countries are meeting in Brazil for the UN’s COP30 conference, making yet another attempt to forge better plans to stay within the agreement’s limits and phase out fossil fuels.
This year’s conference promises to be particularly contentious, with many leaders being no-shows and the Trump administration having exited the process entirely.
Where that leaves this conference is entirely unclear: Brazil insists that this year’s conference will be one of “implementation”, whereby countries focus on what they can contribute toward real-world impacts instead of striving toward longwinded, often defanged, consensus. Whether that means some countries can get away with contributing very little, and what can be done to counteract this, remains unclear.

Ben Turner
Acting Trending News Editor

